Egindako salmentak
Ref.: IE-15-350-006-000
LOCAL EN CALLE LUIS DE REQUESENS 1, BAJO 1
FERROL (A CORUÑA)
- Descripción y Situación:
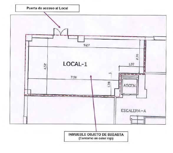
La propiedad se encuentra en el término municipal de Ferrol, dentro del conjunto inmobiliario formado por los portales nº 1, 2, 3, 4 y 5 de la calle Luis de Requesens, en la planta baja del portal nº 1, con fachada y acceso independiente al interior del conjunto, y fachada lateral. Se trata de un local comercial con forma de planta alargada, sensiblemente rectangular con la caja del ascensor en una esquina. Sus fachadas son de fábrica de ladrillo revestidas con mortero de cemento. En la fachada frontal está la puerta de acceso, acristalada, y de dos hojas y no tiene ventanas; el resto de paredes perimetrales son medianeras con otro local y con las zonas comunes del edificio. Su interior es totalmente diáfano; no tiene aseo. El suelo y las paredes están de obra; el techo está enfoscado. Su altura libre es de 2,73 metros, sin contar la futura colocación del pavimento. Tiene una superficie construida de 42,15 m², de los cuales 40,81 m² corresponde a la superficie del local y 1,34 m² corresponden a la parte proporcional de elementos comunes
- Calificación:
- Comercial
- Mota:
- Local
- Superficie (m²):
- 42,15




