Egindako salmentak
Ref.: IE-41-001-002
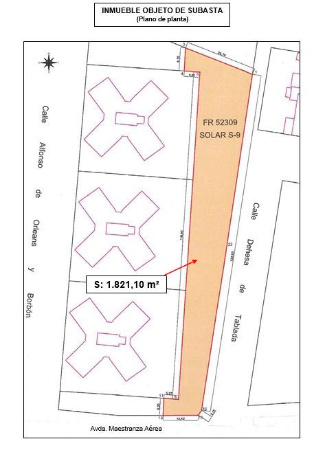
Solar (s-9) García Morato s/n FR.52309 hoy Av. Maestranza Aérea
(SEVILLA)
- Descripción y Situación:
La propiedad se encuentra en el término municipal de Sevilla, barrio de Tablada, en la Avenida de García Morato s/n (hoy Avda. Maestranza Aérea).
Se trata de la parcela regularizada S-9. Es un solar urbano sin edificar, con forma de polígono irregular de nueve lados.
- Calificación:
- Residencial
- Mota:
- Solar
- Inscripción:
Inscrita en pleno dominio a favor del Estado, Instituto de Vivienda, Infraestructura y Equipamiento de la Defensa, como finca número 52.309, al tomo 2321, Libro 1414, Folio 13, Inscripción 2ª del registro de la propiedad número ocho de Sevilla.
CRU: 41026000913574.
- Superficie (m²):
- 1.821,10
- Bidalitako zenbatekoa:
- Primera Subasta 53.681,81 € y Segunda subasta 48.313,63 €
Información de Licitación
- Eskaintzak aurkezteko epearen azken eguna eta dokumentazioa:
- Hasta las 13 horas del día 3 de Septiembre de 2020
- Lege Publikoaren data eta ordua:
- A parftir de las 11 horas del dia 17 de Septiembre de 2020
- Lege Publikoaren lekua:
- Instituto de Vivienda, Infraestructura y Equipamiento de la Defensa, c/ Isaac Peral nº 20-32, 28015 Madrid
Harremanetan jartzeko
- Harremanetan jartzeko:
- Instituto de Vivienda, Infraestructura y Equipamiento de la Defensa
Departamento Comercial
Tel.: 916020844 / 916020919 / 916020601
invied_comercial@oc.mde.es




