Texto no traducido
Ref.: 28-001-146-002
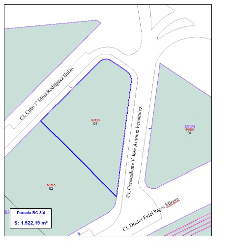
PARCELA EN CALLE CABO INFANTERÍA IDOIA RODRÍGUEZ BUJÁN Nº 1 (18,39% DE LA PARCELA RC-3.4, PROYECTO DE REPARCELACIÓN APR 10.01 "LA MEDINA")
(MADRID)
- Descripción y Situación:
La propiedad se encuentra en el suroeste de Madrid, entre la Avenida de la Aviación, el Paseo de Extremadura y la línea de ferrocarril, en el distrito de La Latina.
Se corresponde con la finca RC-3.4 del proyecto de reparcelación del APR 10.01, situada en la calle Cabo Infantería Idoia Rodríguez Buján nº 1.Se trata de una parcela de terreno libre de edificaciones de forma irregular, conformada por tres lados rectos y un lado curvo, que encierra en su interior una superficie plana y horizontal de 1.522,19 m2 de suelo, que linda:- al noroeste, en línea recta de 39,36 metros, con la parcela de resultado correspondiente a red viaria RVL.1-3, tramo calle provisional La Medina Cuatro (hoy calle Cabo Infantería Idoia Rodríguez Buján);
- al noreste, en un primer tramo curvo de 6,95 metros, un tramo recto de 8,71 metros y un tercer tramo curvo de 5,50 metros, todos ellos con la parcela de resultado correspondiente a red viaria RVL.1-4, tramo calle provisional La Medina Cuatro
- al sureste, en línea recta de 55,29 metros, con la parcela de resultado correspondiente a red viaria RVL.1-4, tramo calle provisional La Medina Cuatro (hoy calle Comandante V José Antonio Fernández)
- al suroeste, en línea recta de 51,09 metros, con la parcela resultante RC3.3.
- Calificación:
- Residencial
- Tipus:
- Solar
- Inscripción:
- .
- Superficie (m²):
- 1.522,19







