Premises
Ref.: IE-28-001-187-000
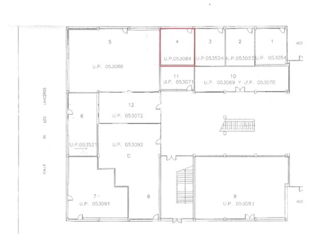
LOCAL EN PASEO DE LANCEROS Nº 2, BAJO 4
(MADRID)
- Description and Location:
- La propiedad se encuentra en el término municipal de Madrid, en el edificio comercial designado con el nº 2 del Paseo de Lanceros. La parcela tiene formas poligonales simples, y la unidad patrimonial que alberga contiene varios edificios de forma sensiblemente rectangular, entre ellos el edificio en el que se ubica el inmueble.El local se encuentra en la planta baja del edificio, con acceso directo desde la calle. Es un espacio diáfano.Las condiciones de acabados y revestimientos son malas. Se encuentra revestido de un panelado de lámina de madera muy deteriorado. El solado está levantado, y tiene una roza en la zona central aparentemente fruto de una reparación.Los interruptores y mecanismos de iluminación están muy deteriorados y/o caídos. Las luminarias son fluorescentes. El cuadro general de mando y protección es antiguo, se desconoce su funcionamiento. En términos generales, la instalación eléctrica no está en condiciones óptimas para su funcionamiento seguro.No cuenta con instalación de suministro de agua y no existen instalaciones de desagüe ni evacuación de aguas, ni a priori pueden realizarse dichas instalaciones, por lo que el local no cuenta ni puede contar con aseo.Certificado de Eficiencia Energética: En tramitación.
- Qualification :
- Comercial
- Type:
- Local
- Registration:
lnscrita en pleno dominio a favor del Estado, Instituto de Vivienda, lnfraestructura y Equipamiento de la Defensa, como finca número 75349, al tomo 1837, Libro 1837, Folio 82, lnscripción 6ª del Registro de la Propiedad nº 15 de Madrid.
IDUFIR: 28039000821519.- Surface (m²):
- 52,03
- Bid Amount:
- Primera subasta 32.246,95 € Segunda subasta 29.022,26 €
Información de Licitación
- Deadline for submitting bids and documentation:
- Hasta las trece horas del 24 de febrero de 2026
- Date and time of the Public Act:
- A partir de las once horas del 17 de marzo de 2026
- Place of Public Act:
- Instituto de Vivienda, Infraestructura y Equipamiento de la Defensa, c/ Isaac Peral nº 20-32, 28015 Madrid
Contact us
- Contact us:
- Instituto de Vivienda, Infraestructura y Equipamiento de la Defensa
Departamento Comercial
Tel.: 916020844 / 916020601
invied_comercial@oc.mde.es
Links
Useful documents
- Pliego de Condiciones Técnicas
-
- Pdf 2.38 MB







